Đời sống

Dự báo mùa bão 2026: Hiện tượng El Nino làm số bão giảm, cảnh báo cường độ và nguy cơ đổ bộ

Dự báo mùa bão 2026 cho thấy ảnh hưởng của El Nino có thể khiến tổng số bão giảm so với trung bình, nhưng các chuyên gia cảnh báo dự báo bão vẫn tiềm ẩn nguy cơ xuất hiện siêu bão và bão đổ bộ gây thiệt hại lớn, không thể chủ quan trước biến động khí hậu.

Các thông tin ban đầu về mùa bão 2026 cho thấy bức tranh khí tượng có thể “giảm nhiệt” về số lượng khi tổng số cơn bão dự kiến thấp hơn mức trung bình nhiều năm. Nguyên nhân chính được cho là chịu tác động từ hiện tượng El Nino, vốn thường làm thay đổi hoàn lưu khí quyển và hạn chế phần nào hoạt động hình thành bão ở một số khu vực đại dương.

Tuy nhiên, giới chuyên gia nhấn mạnh rằng mùa bão 2026 không thể chỉ đánh giá qua số lượng, mà cần tập trung vào dự báo bão về cường độ và khả năng bão đổ bộ. Theo Trung tâm Bão Quốc gia Mỹ (NHC), yếu tố nguy hiểm nhất không phải là có bao nhiêu cơn bão xuất hiện, mà là có bao nhiêu cơn đạt cấp độ mạnh và đi thẳng vào khu vực dân cư.

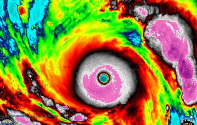
cơn 1s
Mắt bão Sinlaku ngày 12.4.2026 - siêu bão mạnh nhất thế giới từ đầu năm 2026 đến nay. Ảnh: CIMSS

Chuyên gia Brad Reinhart của NHC cho biết quan điểm nhất quán trong nhiều năm là “chỉ cần một cơn bão đổ bộ cũng đủ tạo ra hậu quả lớn”, bất kể mùa bão được dự báo ở mức thấp hay cao. Điều này phản ánh rõ ràng bản chất của dự báo bão: tính rủi ro luôn tồn tại trong mọi mùa.

Thực tế khí tượng cho thấy ngay cả trong những năm chịu ảnh hưởng mạnh của El Nino, hoạt động bão vẫn không hoàn toàn suy giảm. Một số trường hợp vẫn ghi nhận sự xuất hiện của siêu bão với cường độ lớn, hình thành nhanh và tăng cấp đột ngột do điều kiện nhiệt độ biển thay đổi bất thường.

Các nhà khoa học lý giải rằng sự biến động của nhiệt độ mặt nước đại dương đóng vai trò quan trọng trong quá trình hình thành bão. Khi nước biển ấm lên, năng lượng tích tụ nhiều hơn, tạo điều kiện cho bão mạnh lên nhanh chóng, thậm chí biến thành siêu bão trong thời gian ngắn.

Một vấn đề đáng lo ngại được các chuyên gia đưa ra là tâm lý chủ quan sau những mùa bão ít hoạt động. Khi người dân cho rằng mùa bão 2026 có thể “êm ả” hơn, việc chuẩn bị phương án ứng phó, kế hoạch sơ tán hoặc bộ dụng cụ khẩn cấp có thể bị xem nhẹ, từ đó làm gia tăng thiệt hại nếu bão đổ bộ xảy ra bất ngờ.

Giáo sư Rob Young (Đại học Tây Carolina) cho rằng các dự báo bão theo mùa đôi khi gây hiểu lầm, vì công chúng dễ hiểu sai rằng rủi ro đã giảm. Ông nhấn mạnh rằng mỗi năm đều cần chuẩn bị kịch bản cho một siêu bão mạnh, bởi chỉ một cơn bão đổ bộ cũng có thể gây ra thảm họa diện rộng.

Lịch sử khí tượng từng ghi nhận nhiều minh chứng rõ ràng. Siêu bão Andrew năm 1992 là một ví dụ điển hình khi hình thành trong giai đoạn chuyển tiếp khí hậu nhưng vẫn đạt cấp 5 khi bão đổ bộ vào Florida, gây thiệt hại nghiêm trọng về người và tài sản với mức tổn thất hàng chục tỷ USD.

Bên cạnh đó, khu vực Vịnh Mexico tiếp tục được đánh giá là vùng có diễn biến phức tạp nhất trong dự báo bão. Nhiệt độ nước biển cao khiến các cơn bão dễ tăng cấp nhanh, tạo ra nguy cơ hình thành siêu bão khó lường. Đây là khu vực từng nhiều lần chứng kiến bão đổ bộ với sức tàn phá lớn.

Một số mô hình dự báo hiện nay cũng đưa ra xác suất khoảng 32% có ít nhất một cơn bão mạnh đổ bộ vào bờ biển Mỹ trong năm, cho thấy rủi ro vẫn ở mức đáng kể. Các chuyên gia khẳng định mùa bão 2026 cần được nhìn nhận với tinh thần cảnh giác cao độ, không phụ thuộc vào con số thống kê.

Tổng hợp các yếu tố khí hậu, El Nino, nhiệt độ đại dương và biến động khí quyển cho thấy dự báo bão năm 2026 mang tính khó lường. Dù số lượng có thể giảm, nguy cơ siêu bão và bão đổ bộ mạnh vẫn là kịch bản cần được đặt trong trạng thái sẵn sàng ứng phó ở mọi thời điểm.