"bão số 9 ragasa" - Hình ảnh mới nhất về bão số 9 Ragasa chụp từ phi cơ gây chú ý, đến phi hành gia cũng phải lo sợ
Hình ảnh mới nhất về bão số 9 Ragasa chụp từ phi cơ gây chú ý, đến phi hành gia cũng phải lo sợ
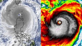
Dưới đây là những hình ảnh "đáng sợ" của cơn bão số 9 Ragasa được chụp từ phi cơ và ngoài vũ trụ. Có gì mà khiến phi hành gia cũng phải lo lắng?