Đời sống

Bão Sinlaku tăng cấp cực đại 50.000 người có thể gặp thảm họa, Việt Nam chịu ảnh hưởng gián tiếp

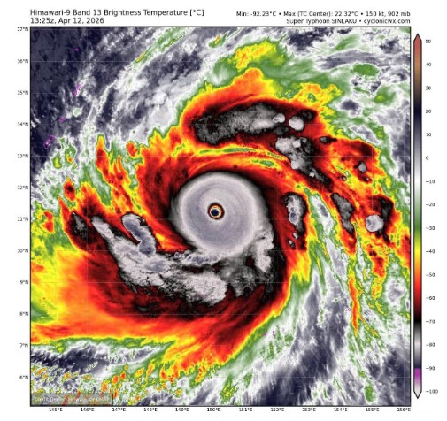
Siêu bão Sinlaku tăng cấp lên mức cực đại trong ngày hôm nay với sức gió gần 300 km/h, trở thành cơn bão mạnh nhất thế giới từ đầu năm 2026. Một điểm đáng chú ý được cảnh báo có thể gây biến động thời tiết tại Việt Nam.

Cụ thể, siêu bão Sinlaku tăng cường độ rất nhanh, đạt sức gió duy trì khoảng 289 km/h, giật lên tới 354 km/h, chính thức trở thành cơn bão mạnh nhất hành tinh trong năm 2026 tính đến thời điểm hiện tại. Cơn bão đang di chuyển theo hướng tây bắc, tiến về phía chuỗi đảo do Mỹ kiểm soát tại Tây Thái Bình Dương là quần đảo Bắc Mariana.

Khu vực này gồm ba đảo chính Rota, Tinian và Saipan với khoảng 50.000 cư dân đang sinh sống. Đây là khu vực có vị trí đặc biệt khi nằm cách San Francisco khoảng 9.654 km về phía tây và gần Tokyo hơn Honolulu, đồng thời thường xuyên nằm trên đường di chuyển của các cơn bão mạnh ở Thái Bình Dương.

Bão Sinlaku tăng cường độ rất nhanh

Trong vòng 24 giờ qua, dự báo quỹ đạo của bão đã có sự điều chỉnh đáng chú ý khi dịch chuyển lên phía bắc. Các mô hình mới nhất cho thấy Sinlaku có khả năng đi qua gần hoặc trực tiếp trên đảo Tinian – vị trí nằm giữa Rota và Saipan. Theo kịch bản hiện tại, bão có thể đổ bộ trực tiếp vào quần đảo Bắc Mariana, đặc biệt là Rota và Tinian vào sáng ngày 14/4.

Tuy nhiên, các chuyên gia khí tượng nhấn mạnh rằng chỉ một sai lệch nhỏ trong hướng di chuyển cũng có thể khiến khu vực chịu ảnh hưởng nặng nề nhất thay đổi đáng kể, bao gồm cả khả năng vùng phía bắc đảo Guam phải hứng chịu tác động mạnh hơn dự kiến.

Dù được dự báo có thể suy yếu trước khi áp sát đất liền, Sinlaku vẫn duy trì cường độ rất mạnh với sức gió khoảng 250–260 km/h, tương đương bão cấp 4–5. Với mức này, nguy cơ thiệt hại nghiêm trọng đối với nhà cửa, hạ tầng và hệ thống điện là rất lớn, đặc biệt tại các đảo nhỏ có khả năng chống chịu hạn chế.

Không chỉ gió mạnh, lượng mưa mà cơn bão này mang theo cũng ở mức cực lớn. Cơ quan Dự báo Thời tiết Quốc gia Mỹ nhận định lượng mưa tại Guam và Rota có thể đạt từ 380–510 mm, trong khi Tinian và Saipan ghi nhận khoảng 200–380 mm trong giai đoạn từ ngày 13 đến 16/4. Đây là mức mưa có thể gây ngập lụt diện rộng trong thời gian ngắn.

Với quy mô lớn, vùng ảnh hưởng của bão có thể mở rộng tới 640 km, khiến mưa lớn lan rộng ra nhiều khu vực cách xa tâm bão. Điều này làm gia tăng nguy cơ lũ quét, dòng chảy xiết và sạt lở đất, đặc biệt tại các khu vực đồi núi. Sóng biển được dự báo dâng cao khoảng 4,5 mét tại các rạn san hô lộ thiên, kết hợp với triều cường có thể gây ngập lụt ven biển và xói lở nghiêm trọng trong những ngày tới.

Trước tình hình khẩn cấp, chính quyền Mỹ đã ban hành cảnh báo bão đối với các đảo Rota, Tinian và Saipan, trong khi đảo Guam – nơi có nhiều căn cứ quân sự lớn – đang nằm trong vùng cảnh báo bão nhiệt đới. Hàng loạt biện pháp ứng phó đã được triển khai, bao gồm việc các hãng hàng không như United Airlines và Micronesian Air Connection hủy chuyến bay đến giữa tuần, đóng cửa trường học và cơ quan chính quyền, đồng thời mở cửa các trung tâm trú ẩn từ ngày 13/4.

Ảnh vệ tinh chụp siêu bão Sinlaku tối 12/4 (giờ Việt Nam)

Việt Nam có chịu ảnh hưởng của bão Sinlaku không?

Liên quan đến Việt Nam, các chuyên gia khí tượng nhận định siêu bão Sinlaku hiện chưa có khả năng đi vào Biển Đông do chịu tác động của áp cao cận nhiệt đới và hướng di chuyển lệch lên phía bắc. Tuy nhiên, với quy mô rất lớn, hoàn lưu của bão vẫn có thể gây ảnh hưởng gián tiếp đến thời tiết khu vực Đông Nam Á.

Cụ thể, bão có thể làm biến động trường gió trên cao, gia tăng mây đối lưu và gây ra các đợt mưa rào, dông cục bộ tại một số khu vực ở Việt Nam. Đồng thời, diễn biến thời tiết trên Biển Đông, đặc biệt là khu vực phía đông và giữa biển, có thể xuất hiện những biến động đáng chú ý trong những ngày tới.

Trong bối cảnh thời điểm giao mùa, sự xuất hiện của một siêu bão mạnh như Sinlaku cũng có thể khiến thời tiết tại Việt Nam trở nên bất ổn hơn, gia tăng khả năng xuất hiện mưa trái mùa cục bộ. Tuy vậy, khả năng bão ảnh hưởng trực tiếp đến đất liền Việt Nam hiện được đánh giá là rất thấp.

Sinlaku được xem là một trong những cơn bão mạnh nhất từ đầu năm 2026 đến nay. Dù có dấu hiệu đạt đỉnh cường độ, nhưng quỹ đạo vẫn còn tiềm ẩn nhiều yếu tố khó lường, đòi hỏi các cơ quan chức năng và người dân tại khu vực bị ảnh hưởng cần tiếp tục theo dõi sát sao để chủ động ứng phó.