Đời sống

Siêu bão Sinlaku tăng lên cấp 16 trong tháng 4, hướng di chuyển thay đổi, khả năng tác động khu vực Biển Đông?

Siêu bão Sinlaku tăng lên cấp 16 ngay trong tháng 4, thu hút sự chú ý của giới chuyên gia khi xuất hiện ngoài quy luật thông thường, trong bối cảnh dự báo thời tiết và nguy cơ tác động tới khu vực Biển Đông đang được theo dõi chặt chẽ.

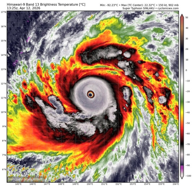
Tối 12-4, siêu bão Sinlaku chính thức đạt ngưỡng cấp 16 theo thông tin từ cơ quan dự báo thời tiết, đánh dấu cột mốc đáng chú ý trong mùa bão năm 2026. Với sức gió vùng tâm đạt khoảng 105 hải lý/giờ và giật trên cấp 17, siêu bão Sinlaku nhanh chóng trở thành tâm điểm trong các bản tin dự báo thời tiết quốc tế.

Đáng chú ý, đây là lần hiếm hoi một siêu bão Sinlaku đạt cường độ cấp 16 ngay trong tháng 4. Theo thống kê, hiện tượng này chỉ xảy ra vài lần trong nhiều thập kỷ, cho thấy diễn biến khí hậu đang có những thay đổi đáng lưu ý. Sự xuất hiện của siêu bão Sinlaku vào thời điểm này khiến giới chuyên gia đặc biệt quan tâm đến xu hướng hình thành bão trong khu vực Tây Bắc Thái Bình Dương.

Về cường độ, siêu bão Sinlaku hiện đang dẫn đầu trong số các cơn bão hình thành từ đầu năm đến nay, với áp suất trung tâm giảm sâu xuống khoảng 920 hPa. Con số này vượt qua nhiều hệ thống bão khác từng ghi nhận trong năm, phản ánh mức độ phát triển nhanh và mạnh của siêu bão Sinlaku trong thời gian ngắn.

siêu 1s
Sinlaku mạnh lên thành siêu bão.

Theo các mô hình dự báo thời tiết, siêu bão Sinlaku sau khi đạt đỉnh cấp 16 có xu hướng di chuyển theo hướng Bắc, trước khi chuyển dần sang Đông Bắc trong những ngày tiếp theo. Dự kiến từ khoảng 16 đến 17-4, hệ thống này sẽ tiến ra vùng biển phía Đông Nhật Bản và bắt đầu suy yếu dần về cường độ.

Một trong những điểm được quan tâm nhất hiện nay là khả năng ảnh hưởng của siêu bão Sinlaku tới Biển Đông. Tuy nhiên, các dữ liệu dự báo thời tiết mới nhất cho thấy hệ thống này khó có khả năng đi vào khu vực Biển Đông. Dù vậy, cơ quan chức năng vẫn duy trì theo dõi sát sao để kịp thời cập nhật các kịch bản có thể xảy ra.

Trong bối cảnh rộng hơn, hoạt động của bão trên Biển Đông năm 2026 được nhận định có xu hướng không quá khác biệt so với trung bình nhiều năm trong giai đoạn đầu mùa. Tuy nhiên, từ nửa cuối năm, số lượng bão có thể giảm, nhưng không loại trừ khả năng xuất hiện những cơn có cường độ lớn như siêu bão Sinlaku.

Các chuyên gia cảnh báo, nền nhiệt mặt nước biển duy trì ở mức cao cùng với tác động của ENSO có thể khiến các hình thái thời tiết cực đoan gia tăng. Điều này đồng nghĩa với việc những cơn bão đạt cấp 16 hoặc tương đương siêu bão Sinlaku có thể xuất hiện với diễn biến khó lường hơn, đòi hỏi công tác dự báo thời tiết và ứng phó phải được nâng cao.