Đời sống

Siêu bão Sinlaku mạnh nhất hành tinh 2026 đang đe dọa khu vực nào ngay lúc này?

Sở hữu sức gió giật không tưởng lên tới 85m/giây, siêu bão Sinlaku đang trở thành mối đe dọa lớn nhất hành tinh từ đầu năm 2026. Với quỹ đạo tiến sát Quần đảo Mariana (Mỹ), cơn bão trái mùa cực hiếm này được dự báo sẽ gây ra kịch bản tàn phá kinh hoàng.

Siêu bão Sinlaku hiện là tâm điểm chú ý của các bản tin thời tiết toàn cầu khi trở thành cơn bão mạnh nhất thế giới tính từ đầu năm 2026. Với sức tàn phá khủng khiếp, "quái vật" này đang đe dọa trực tiếp đến Quần đảo Bắc Mariana thuộc Mỹ, mang theo nguy cơ ngập lụt nghiêm trọng.

Nguồn gốc của Sinlaku bắt đầu từ một vùng dông tại vùng biển Micronesia. Sau quá trình hình thành, nó nhanh chóng nâng cấp từ bão nhiệt đới lên bão mạnh. Vào cuối tuần qua, hệ thống này chính thức đạt ngưỡng siêu bão khi di chuyển theo hướng tây bắc với tốc độ gia tăng nhanh chóng.

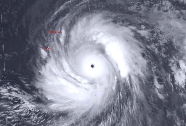
Dữ liệu cập nhật từ Trung tâm Cảnh báo Bão Liên hợp (JTWC) cho thấy sức gió duy trì của bão đạt mức 240 km/h vào ngày 12/4. Đỉnh điểm, khi di chuyển qua khu vực Tây Thái Bình Dương, sức gió gần tâm bão đã chạm mốc 295 km/h, đi kèm các cơn gió giật đạt 85m/giây.

sieu-bao-sinlaku
Siêu bão Sinlaku mạnh nhất năm 2026, gây thời tiết nguy hiểm. Ảnh: JTWC

Về lộ trình di chuyển, các dự báo mới nhất chỉ ra quỹ đạo bão có sự lệch nhẹ về phía bắc. Thay đổi này làm giảm nguy cơ đổ bộ trực tiếp vào đảo Guam. Tuy nhiên, hai đảo Saipan và Tinian thuộc Quần đảo Mariana lại nằm trong tâm điểm hứng chịu những tác động khắc nghiệt nhất.

Siêu bão Sinlaku sở hữu vùng ảnh hưởng khổng lồ, trải rộng đến 644 km. Hệ thống này được dự báo sẽ gây ra tình trạng nước biển dâng cao và mưa lớn diện rộng. Các chuyên gia cảnh báo nguy cơ gió giật phá hủy công trình và mất điện cục bộ tại Guam cũng như Bắc Mariana.

Tại các đảo Rota, Saipan và Tinian, sức gió càn quét dự kiến đạt khoảng 230 km/h vào ngày thứ Ba 14/4. Đây là mức độ nguy hiểm có thể đe dọa tính mạng con người. Ngoài ra, điều kiện biển trở nên đặc biệt rủi ro, gây tê liệt các hoạt động du lịch và vận tải.

Dự kiến sau khi áp sát Mariana, Sinlaku sẽ tiến về phía đông quần đảo Volcano của Nhật Bản. Sau đó, bão sẽ di chuyển ra vùng biển rộng lớn thuộc Tây Bắc Thái Bình Dương vào cuối tuần. Theo cơ quan chức năng, cơn bão này ít khả năng đi vào Biển Đông hoặc tác động đến Việt Nam.

du-bao-sieu-bao
(Đồ họa: Tuấn Huy)

Cơ quan khí tượng Mỹ đã phát đi các cảnh báo khẩn cấp cho khu vực Mariana. Tổng lượng mưa ước tính từ ngày 13/4 đến 16/4 có thể vượt mức 300 mm. Điều này làm gia tăng tối đa rủi ro xảy ra lũ quét, sạt lở đất tại những khu vực có địa hình xung yếu.

Sự xuất hiện của siêu bão Sinlaku vào tháng 4 được đánh giá là hiện tượng đặc biệt hiếm gặp. Mặc dù bão tại khu vực này có thể xảy ra quanh năm, nhưng mùa cao điểm thường rơi vào tháng 6 đến tháng 11. Sinlaku đang phá vỡ các quy luật thời tiết thông thường tại đây.

Lịch sử ghi nhận lần gần nhất một cơn bão mạnh cấp 3 trở lên tiếp cận gần Guam vào tháng 4 là siêu bão Andy năm 1989. Các hệ thống khác như Kujira (2003) hay Isa (1997) chỉ gây ảnh hưởng ở rìa ngoài, không trực tiếp tấn công mạnh mẽ như kịch bản hiện tại.

Trước đó, vào tháng 10/2023, bão Bolaven từng gây ngập đường và đổ cây tại khu vực này. Tuy nhiên, với cường độ của Sinlaku, rủi ro về thời tiết cực đoan đối với ngành du lịch biển Tây Thái Bình Dương đang bị đẩy lên mức báo động đỏ do tính chất bão trái mùa.